Hans Rosenthal – 19.10.2025



In diesem Jahr hätte Hans Rosenthal am 2. April seinen 100. Geburtstag gefeiert.



Er gehört wohl zu den wenigen Persönlichkeiten, deren Namen man nicht weiter erläutern muss. Jeder hat von ihm gehört, kennt seinen Namen, verbindet ihn mit dem Unterhaltungsprogramm im Fernsehen wie "Dalli-Dalli", "Rate mal mit Rosenthal", "Gut gefragt ist halb gewonnen" und im Radio mit "Allein gegen alle", "Wer fragt gewinnt" oder dem "Das klingende Sonntagsrätsel". Auch mit seinem Engagement beim Fußballverein Tennis Borussia, dessen Präsident er von 1965 bis 1973 war und schließlich auch in seiner Funktion als Mitglied des Direktoriums des Zentralrats der Juden in Deutschland. Dass Hans Rosenthal Jude war, war zu Beginn seiner Hörfunk- und Fernsehkarriere in Deutschland wenig bekannt. Ihm selbst war es nie wichtig. Er betonte stets, dass es die Menschen nicht unterscheide, welchen Glauben sie haben. Und vor allem, dass es hierdurch keinen "besseren" oder "schlechteren" Menschen gäbe. "Man muss Menschen mögen", hatte er in einem Interview mal gesagt, auf die Frage nach dem Geheimnis seines Erfolges. Und dass dies gerade für ihn alles andere als selbstverständlich gewesen sein muss, davon kündete seine Geschichte.

Im Jahr 1980 erschienen seine Lebenserinnerungen als Buch "Zwei Leben in Deutschland". Dort beschreibt er, wie er als Verfolgter den Holocaust überlebt hatte und wie erfolgreich sein Leben nach dem Krieg verlaufen ist. Dafür, dass er bei seiner Geschichte überhaupt in Deutschland geblieben ist und nicht nach Israel ausgewandert ist, wurde er seitens der jüdischen Gemeinschaft einige Male kritisiert. Wenn er gefragt wurde, wie er es weiterhin im "Lande der Täter" aushalten könne, antwortete er, dass er damals das schlechteste Deutschland kennengelernt habe – aber eben auch das beste Deutschland. Dies in Person der drei mutigen Frauen, die ihn versteckt hielten, ihre knappen Lebensmittelmarken mit ihm teilten und ihn umsorgten.

Für Jörg, Lutz, Ralf (Ralkam), Ralf (ralfr12r), Rene und mich war dies heute jedenfalls genug Anlass, den Spuren Hans Rosenthals zu folgen und seine Geschichte besser zu verstehen.

So trafen wir uns morgens an der Spinnerbrücke zu einem kurzen Kaffee mit oder ohne Brötchen,





bevor wir ablegten und die Reise antraten.





Dei Fahrt ging – selten genug – über die Havelchaussee nach Norden.







Das Ziel war der Jüdische Friedhof an der Heerstraße.







Auf einer solchen Tour gelingt es naturgemäß nicht, die zu erzählende Geschichte in die chronologisch richtige Reihenfolge zu bringen. Deshalb fingen wir heute mit dem Ende der Geschichte an: mit der Begräbnisstätte von Hans Rosenthal. Viel zu früh mit nur 61 Jahren wurde er aus seinem quirligen Leben gerissen und war am 10.02.1987 einer Magenkrebserkrankung erlegen.

Eine grundlegende religiöse Bestimmung besagt, dass alle geweihten Orte (z. B. die Synagoge, die Klagemauer in Jerusalem, Friedhöfe) von männlichen Besuchern nur betreten werden dürfen, wenn sie ihr Haupt bedeckt haben. Wir hielten uns daran und hatten uns von zu Hause eine dezente Mütze mitgebracht.



Und wenn man das vergessen hatte, konnte am Eingang eine Kippa ausgeliehen werden.





So betraten wir den Friedhof.



Gleich am Eingang gibt es einige Gedenkstätten an die Verfolgung und an die Befreier.







Auch im Eingangsbereich liegt das wohl prominenteste Grab von Heinz Galinski (28.11.1912 - 19.07.1992), dem langjährigen Vorsitzenden der Jüdischen Gemeinde zu Berlin (1949-1992) und Vorsitzenden und später ersten Präsidenten des Zentralrates der Juden in Deutschland.



Im Vordergrund ist die ehemalige Grabplatte zu sehen, die bei einem Sprengstoffanschlag am 19.12.1996 gegen 20.30 Uhr zerstört wurde. Seit dieser Zeit wird der Friedhof auch besonders bewacht.







Im Feld Nr. 1, in der ersten Ehren-Reihe links vom Eingang kommend etwa nach 30 Metern



liegt das Grab von Hans Rosenthal und seiner Frau Traudl.





Die hebräische Inschrift oben, beidseits des Davis-Sterns, sind die Buchstaben Pe und Nun (von rechts nach links gelesen). Sie stehen als Abkürzung für "po nikbar" und bedeuten in etwa "hier ruht".

Der Schriftzug ganz unten auf dem Stein bildet die Abkürzung mit den Buchstaben (ebenfalls von rechts nach links) Taw Nun Tsadi Bet Heh und steht für "Tehi nischmato/tah zrurrah bizror ha-chajjim" und heißt soviel wie "Möge seine / ihre Seele eingebunden sein in das Bündel des Lebens". Dieser Sinnspruch geht auf das 1. Buch Samuel Kapitel 25 Vers 29 zurück, in dem es heißt: "Wenn sich aber ein Mensch erhebt, um dich zu verfolgen und dir nach dem Leben zu trachten, dann sei das Leben meines Herrn beim Herrn, deinem Gott, eingebunden in den Beutel des Lebens; das Leben deiner Feinde aber möge der Herr mit einer Schleuder fortschleudern."

Bemerkenswert an diesem Grabstein sind die vielen Steine, die auf ihm liegen. In der jüdischen Tradition ist ein aus der eigenen Heimat mitgebrachter Stein so etwas wie auf christlichen Gräbern der Blumenschmuck. Verglichen mit den benachbarten Gräbern sieht man, dass Hans Rosenthal bis auf den heutigen Tag viele Verehrer hat, die ihm einen Gruß hinterlassen. Selbstverständlich haben wir uns von dieser Tradition nicht ausgenommen.









Die Steine stammten übrigens aus unserem Forums-Fundus. Wer Genaueres über sie erfahren möchte, der muss im Bericht über die Fontane-Tour aus dem Jahr 2019 nachblättern. ;-)

Wir kehrten zu unseren Maschinen zurück





und fuhren zurück auf die Heerstraße.











Am Theodor-Heuss-Platz bogen wir auf die Masurenallee ab und passierten dort beim ehemaligen SFB und heutigen RBB das alte "Haus des Rundfunks".



Unmittelbar nach dem Krieg fand Hans Rosenthal hier seine erste Anstellung. In dem Gebäude, in dem nur wenige Wochen zuvor noch Hitlers und Goebbels Durchhalteparolen ausgestrahlt wurden, meldete sich Hans Rosenthal bei der russischen Wache mit den Worten "rabotay, rabotay" und wurde zur Personalabteilung durchgelassen. Dort wurde er sofort als Lagerhelfer für die Materialverwaltung angestellt.

Und wer sich jetzt wundert, warum das Haus von Russen bewacht wurde, muss sich mit der damaligen Situation der Alliierten vertraut machen: während die Amerikaner mit München und Frankfurt am Main und die Briten mit Hamburg große Sender betreiben konnten, gab es diese im Osten der Stadt Berlin nicht. Weil sich damals die Alliierten noch einigermaßen lieb hatten, wurde den Russen freiwillig das Haus des Rundfunks überlassen, obwohl es tief im Westen im britischen Sektor lag. Dieser Zustand war aber bald sehr konfliktträchtig. Nicht nur, dass schon sehr schnell die teils propagandistischen Sendungen feindseliger wurden, kam es auch zu Übergriffen. Weil viele Leute von dieser Situation nichts wussten, kam es vor, dass Menschen aus dem Ostteil diesem vermeintlichen "West-Sender" von Problemen im Alltag in der sowjetisch besetzten Zone berichten wollten. In einem besonderen Fall wollte ein junger Mann aus Sachsen brisante Informationen über den russischen Uran-Abbau weitergeben. Er wurde vermutlich am 1. September 1950 nach Ost-Berlin verschleppt. Die dafür angeklagten Mitarbeiter des Funkhauses mussten sich vor Gericht verantworten, wurden aber aus Mangel an Beweisen freigesprochen. In Folge dieses Geschehens wurde das gesamte Gebäude am 3. Juni 1952 vom britischen Militär mit Stacheldraht eingezäunt und deutlich sichtbare Warntafeln mit dem Text "Achtung! Dies ist kein Westberliner Sender!" aufgestellt. Weil keine Zivilisten mehr in das Gebäude hineingelassen wurden, verschanzten sich dort etwa 60 Mitarbeiter, die vom russischen Militär mit Lebensmitteln versorgt wurden. Der Funkbetrieb wurde danach schnell in die Nalepastraße in Oberschöneweide verlegt, des künftigen zentralen Rundfunksenders der späteren DDR. Am 9. Juli 1952 verließen die letzten Mitarbeiter das Gebäude in der Masurenallee und die Russen demontierten die gesamte technische Einrichtung. Das nun leerstehende Haus wurde von den West-Berlinern schnell in das "Haus des Schweigens" umbenannt. Es wurde weiterhin von den Russen bewacht und erst im Jahr 1956 an den Berliner Senat übergeben. Damit nahm der Sender Freies Berlin dort seinen Sitz und verließ das alte Sendergebäude am Heidelberger Platz.

Für die nächste Touretappe nahmen wir diesmal einen ungewöhnlichen Pfad: wir befuhren – freiwillig – den Stadtring. Nicht ohne Grund meiden wir solche Straßen, sind sie doch irgendwie langweilig. Aber in diesem Fall mussten wir die gesamte Stadt von West nach Ost durchqueren. Das hätte gefühlt tausend Ampeln bedeutet. Und weil vor Kurzem erst das neue Teilstück bis zum Treptower Park freigegeben wurde, verhieß diese Strecke ein viel schnelleres und vor allem weniger nervenaufreibendes Fortkommen. Und den ständigen Protestlern gegen den Ausbau der Stadtautobahn sei einmal empfohlen, die Strecke auszuprobieren. Gerade im Berufsverkehr wird der östliche Abschnitt der A100 die Innenstadt einmal mächtig entlasten, wenn der Ausbau einmal fertiggestellt worden ist.

Es ging also ab auf die Autobahn.







Dabei passierten wir im Vorbeiflug viele Stätten, die heute an Hans Rosenthal erinnern. Zum Beispiel gibt es gleich neben der Avus im Eichkamp eine Sportanlage, die nach ihm benannt wurde.



Diese Sportanlage wurde vom Fußballverein Tennis Borussia genutzt, dessen Vorsitzender Hans Rosenthal in den Jahren 1964 – 1969 war.

Vom Stadtring aus auf Höhe der Ausfahrt Wexstraße war sehr gut das alte RIAS-Gebäude zu sehen. Der Platz vor dem Gebäude wurde nach Hans Rosenthal benannt.















Der RIAS (Rundfunk im amerikanischen Sektor) war die zweite berufliche Station von Hans Rosenthal. Während er sich beim Berliner Rundfunk vom Lagergehilfen schnell zum Regieassistenten Hörspiel und Zeitfunk hochgearbeitet hatte und an vielen Sendungen hinter den Kulissen mitwirkte und auch erste Moderationen übernommen hatte, wurde er hier beim RIAS als Aufnahmeleiter angestellt. Der Start war aber etwas schwierig. Weil sein Arbeitsverhältnis beim Berliner Rundfunk offiziell noch nicht beendet war und er zwischenzeitlich nur beurlaubt war, konnte er nicht gleich loslegen. So bot er sich als Freier Mitarbeiter an. Allerdings durfte sein Name nicht erscheinen. So überlegte man sich ein Pseudonym und nannte ihn "Haro Spann", das für "Hans Rosenthal Spandau" stand. Im Archiv des Senders sind noch heute Hörspiele zu finden, die einen "Haro Spann" ausweisen. Am 1. Juli 1948 war es dann soweit: er wurde fester Mitarbeiter des Senders. Auch hier begleitete er viele Radioproduktionen. Zunächst weiter hinter den Kulissen als Aufnahmeleiter, Regisseur oder Produzent führte ihn sein Weg schnell vor das Mikrofon. Er moderierte viele Sendungen, die er auch konzipiert hatte. Vor allem seine Spiel- und Ratesendungen wurden Quotenrenner. Bis heute sind "Allein gegen Alle" (1963-1977), "Wer fragt gewinnt" (1954-1974 anfangs RIAS später SFB), gefolgt von der ZDF-Fernseh-Show "Gut gefragt ist halb gewonnen" (1964-1970) legendär. Die Leute versammelten sich am Samstagabend vor den Radios, viele Rundfunkstationen hatten sich eingeklinkt und 90 Minuten lang wurde aus einem Saal voller Zuschauer live übertragen mit Schalten auf diverse Vorort-Stationen. Ein Blockbuster der damaligen Zeit.

Die wöchentlich Sendung "Das klingende Sonntagsrätsel" ist auch für mich eine zentrale Erinnerung an meine Kindheit. Die Titelmelodie "Around the World" von Victor Young beherrschte unseren Sonntagmorgen. Wer mal 'reinhören möchte:



Und hier ein Beispiel für eines der Sonntagsrätsel:

http://www.rias1.de/sound4/rias_/rosen/000000_raetsel_.mp3

In dieser Zeit war Hans Rosenthal auch mit vielen anderen Aufgaben betraut. So moderierte er bei anderen Anlässen, wie Firmenfeiern oder öffentlichen Veranstaltungen und vor allem fand er beim ZDF seine Heimat in der TV-Branche. Seine donnerstägliche Spiel-Show "Dalli-Dalli" wurde eine Institution. Von der Premiere am 13. Mai 1971 bis zur letzten Sendung am 11. September 1986 wurden in 17 Staffeln insgesamt 153 Ausgaben gesendet. Abseits der großen Samstag-Abend-Shows à la Kuhlenkampf, Alexander oder Frankenfeld, gelang es Hans Rosenthal auch unter der Woche enorme Einschaltquoten zu erreichen. Die Sendung galt als die beliebteste und prägendste Unterhaltungssendung des deutschen Fernsehens in dieser Zeit.

Weiter durch die Stadt gab es mehr Stationen, die wir heute nicht besuchen konnten. Deshalb ein paar Infos, die während der Vorbereitung der Tour gewonnen wurden:

In der Hauptstraße 38/39 liegt das Stadtbad Schöneberg, das seit dem Jahr 2012 seinen Namen trägt.







Hier hat er im Alter von 25 Jahren das Schwimmen gelernt. Unangenehm war es für ihn, diesen Unterricht zusammen mit kleinen Kindern zu absolvieren. Aber ihm war es in seiner Kindheit als Jude nicht erlaubt, solche Bäder zu betreten und so hatte er nie die Gelegenheit, das Schwimmen in Kindertagen zu erlernen. In seiner Biographie schreibt er dazu: "Zu Rekorden werde ich es gewiss nicht mehr bringen. Aber ich kann mich über Wasser halten – und niemand weiß besser als ich, wie wichtig das ist."

Weiter nord-östlich war die Winsstraße 63 im Prenzlauer Berg die erste Wohnadresse von Hans Rosenthal.







Er lebte hier in den Jahren 1925 bis 1941. Im Jahr 1929 als Vierjähriger:



Sein Vater Kurt Rosenthal (20.11.1900-17.09.1937) war bei der Deutschen Bank angestellt. Diese Arbeit verlor er nach der Machtergreifung Hitlers. Schon mit 37 Jahren starb der Vater. Die Mutter Else Rosenthal (10.03.1899-08.11.1941) starb mit 42 Jahren ebenfalls sehr früh. Im Alter von 16 Jahren wurden Hans und sein kleiner Bruder Gert (26.07.1932-22.10.1942) mit zehn Jahren Vollwaisen.



In der Schönhauser Allee 162 in Prenzlauer Berg unter der ehemaligen postalischen Anschrift "Berlin Nord 58" stand das Jüdische Waisenhaus, einst als Baruch Auerbach'sches Waisenhaus begründet, in das Hans Rosenthal 1942 nach einem Aufenthalt im Landwerk Neuendorf zu seinem kleinen Bruder Gert einzog.







Am 19.10.1942 (kurz nachdem Hans Rosenthal in des Jugendheim umgezogen war, weil er mit 17 Jahren zu alt für das Waisenhaus war) wurden alle Kinder und auch sein Bruder Gert deportiert. Der Zehnjährige wird mit dem "10. Ost-Transport" der Geheimen Staatspolizei nach Riga verschleppt. Vermutlich in einem der auf dem Weg liegenden Konzentrationslager oder am Zielort selbst wurde das Kind ermordet.

Heute ist von dem Gebäude nur noch eine Mauer übriggeblieben. Aber sie ist eine besondere Gedenkstätte. Jeweils in ungefährer Höhe der Körpergröße der jeweiligen Kinder zum Zeitpunkt der Deportation, sind in ihr die Namen der Kinder eingraviert. Der Name von Gert findet sich etwa in Höhe von einem Meter.









Erwähnenswert ist noch ein 26-jähriger Erzieher namens Süßkind, den Hans Rosenthal als sehr streng beschreibt und der die älteren Kinder im Waisenhaus gelegentlich drangsaliert hat. Dennoch aber hält ihm Rosenthal sehr zugute, dass er bei der Deportation freiwillig mitgezogen ist, weil er "seine" Kinder nicht allein lassen wollte. Er ging damit in den sicheren Tod!

Zu dieser Zeit wohnte Hans Rosenthal bereits im Jüdischen Jugendheim in der Rosenstraße. Dort befand sich bereits seit dem Jahr 1714 die erste Synagoge Berlins. Im Jahr 1905 errichtete die Jüdische Gemeinde zu Berlin dort ein Verwaltungszentrum, zu dem auch das Jugendheim gehörte. Heute ist dort nichts mehr erhalten.



Auf dem Platz davor wird aber daran erinnert. Und nicht nur an die im Krieg zerstörten Gebäude, sondern auch an ein Ereignis, das als "Block der Frauen" oder als "Rosenstraßen-Protest" in die Geschichte einging. Es handelte sich um einen einmaligen Akt zivilen Widerstands während der Hitler-Diktatur. Am 27. Februar 1943 kam es zu einer weiteren Verhaftungswelle der SS und Gestapo, um die letzten Juden in Berlin zu verhaften und zu deportieren. Unter den Verhafteten befanden sich auch zahlreiche Ehepartner aus sogenannten "Mischehen", die in die Gebäude der inzwischen verbotenen Jüdischen Gemeinde gebracht wurden. Noch am selben Abend versammelten sich viele Frauen, die ängstlich untergehakt (daher "Frauen-Block") aber in ihrer Verzweiflung mutig auftraten und laut die Freilassung ihrer Männer forderten. Die Proteste hielten mehrere Tage an. Rund um die Uhr befanden sich mehrere Hundert Personen vor Ort. Alle Drohungen der Polizei, die Versammlung mit Gewalt räumen zu wollen verfingen nicht. Am 5. März 1943 wurden die ersten 25 von etwa 2000 Inhaftierten in das KZ Auschwitz III Monowitz deportiert. Aber sie wurden nach wenigen Wochen zurückgeholt und entlassen. Ebenso verhielt es sich mit (vermutlich) allen anderen Gefangenen. Man schob es einigen übereifrigen Gestapo-Beamten zu, dass sie Vorschriften des Reichssicherheitshauptamtes nicht befolgt hatten, wonach diese Personengruppe von Deportationen verschont bleiben sollte. Sie wurden danach zur Zwangsarbeit verpflichtet, um andere – inzwischen deportierte – Menschen zu ersetzen. Der Erfolg der Proteste wurde so zwar relativiert – aber ohne den Einsatz der mutigen Frauen wäre es nicht zu diesem Ergebnis gekommen.

Diese Ereignisse wurden im Jahr 2003 mit der Verfilmung "Rosenstraße" von Margarethe von Trotta verarbeitet, wie ihnen auch mehrere Skulpturen der Bildhauerin Ingeborg Hunzinger gewidmet wurden.





In seiner Zeit in dem Jugendheim musste Hans Rosenthal weiter Zwangsarbeit leisten. So fuhr er täglich mit der Straßenbahn in die Langhansstraße Nr. 106, wo seinerzeit die "Blechemballagenfabrik" von Alfred Hanne stand. Heute steht dort nur ein Wohngebäude. Auch der gegenüberliegende Parkplatz vermittelt heute nicht mehr die Gestaltung der damaligen Wohn- und Gewerbe-Mischbebauung.





Dass er tatsächlich mit der Straßenbahn fahren konnte, hatte er einer polizeilichen Sondererlaubnis zu verdanken. Juden war es nicht mehr erlaubt, die öffentlichen Verkehrsmittel zu benutzen. Aber weil er nun mit "kriegswichtiger" Produktion zu tun hatte, machte man eine Ausnahme.



In dieser Fabrik musste Hans Rosenthal Blechdosen reinigen und aufarbeiten. Sie wurden zu tausenden benötigt, weil sie mit einer Brennpaste gefüllt wurden und als "Falt-Kocher" den Soldaten zur Erwärmung ihres Essens dienten. Der Firmeninhaber war von seinem jungen Mitarbeiter sehr überzeugt. Deshalb schickte er ihn in die Filiale nach Torgelow, um die dortige Fertigung auszubauen.

Im November 1942 trat er im Auto mit Alfred Hanne die Reise nach Torgelow an. Die Arbeit dort empfand er nicht als sehr belastend. Zudem schloss er Freundschaft mit einem belgischen Kriegsgefangenen namens Florent Loffet, den er viele Jahre später im Sommer 1979 wiedertraf. Es gab dort sogar die Möglichkeit eines Kinobesuchs. Allerdings war der Film, der dort gespielt wurde, für ihn eine schwer verdauliche Kost: "Jud Süß" hieß die Vorstellung, eines der schlimmsten antisemitischen Werke aller Zeiten. Hinzu kam, dass er erneut wieder nur zufällig der Deportation entkommen war. Denn vier Wochen, nachdem er nach Torgelow gezogen war, wurde das gesamte Jüdische Jugendheim nach Auschwitz gebracht. Er hat keinen seiner Kameraden je wiedergesehen. Dass nach ihm nicht weiter gesucht wurde, lag vermutlich daran, dass er auf der Liste der Bewohner des Jugendheims einfach abgehakt wurde, vielleicht weil sich irgendjemand keine unnötige Arbeit machen wollte.

Seine Situation wurde also immer bedrohlicher und er war sich klar, dass er bis jetzt viel Glück gehabt hatte und seine Verhaftung nur noch eine Frage der Zeit war. So fasste er den Entschluss, aus Torgelow zu fliehen und sich bei seinen Großeltern zu verstecken. Er kaufte sich ein Bahnticket und trat die Reise am 27. März 1943 an. Auf der Fahrt nach Berlin blieb ihm sein Glück erneut hold: auf einer Zwischenstation im Bahnhof von Prenzlau wurde er von zwei SS-Männern kontrolliert. Er konnte keinen Ausweis vorzeigen und so nahmen die zwei Uniformierten ihn mit zu ihrer Dienststelle. Auf dem Weg dorthin jedoch blickte einer der beiden auf die Uhr. Er sagte dann zu seinem Kollegen, dass sie zu spät zum Mittagessen kommen würden, wenn sie all' den Papierkram jetzt noch erledigen müssten. So ließen sie Hans Rosenthal laufen, der gerade noch rechtzeitig zum Bahnhof zurückrennen und seinen Zug wieder besteigen konnte, der dort seinen zehnminütigen Aufenthalt gerade beenden sollte.

So gelangte er noch am selben Tag nach Berlin und machte sich auf den Weg zu seinen Großeltern. Die Enttäuschung war jedoch groß, als er von seiner Großmutter, die selbst keine Jüdin war, erfuhr, dass er nicht bei ihnen bleiben könne. In der ganzen Nachbarschaft wurden unentwegt Verhaftungen durchgeführt und so war es für ihn dort nicht sicher. Seine Großmutter machte den Vorschlag, dass er vielleicht bei Ida Jauch unterkommen könne. Hans Rosenthal kannte Frau Jauch über seine Tante Else. Tante Else war eine so genannte Zwischenmeisterin des Bekleidungsunternehmens Brenninckmeyer, dem späteren C & A. Zu dieser Zeit wurden viele Heimarbeiterinnen beschäftigt und die Zwischenmeisterinnen organisierten und verteilten entsprechend die Nähaufträge. Dabei fiel immer ein Rest an, aus dem ohne Kleidermarken einige Kleidungsstücke angefertigt werden konnten, die dann unter der Hand verkauft werden konnten. Und die besagte Frau Jauch war nicht nur eine Heimarbeiterin, sondern sie betrieb in ihrer kleinen Laube auch einen Laden mit den nicht ganz legalen Produkten. Hans Rosenthal hatte Frau Jauch schon früher oft beliefert. So kannte er den Weg nach Lichtenberg in die Laubenkolonie "Dreieinigkeit".

Diesen Weg hatten wir auch genommen und über das neue Autobahnstück fuhren wir ohne Hindernisse bis zum Treptower Park.







Nur am vorläufigen Ende des Ausbaus stockte der Verkehr ein wenig.



Die anschließende Überquerung der Elsenbrücke zog sich auch ein wenig hin, weil dort weiterhin gebaut wird und dementsprechend die Straße eingeengt ist.





Danach ging es wieder flüssiger durch die Stadt. So fuhren wir die Kynaststraße entlang, bogen auf die Markt- und Boxhagener Straße ein, um über die Neue Bahnhofstraße und Gürtelstraße weiter auf der Möllendorfstraße und den Weißenseer Weg nach Norden zu gelangen.



Über die Bernhard-Bästlein-Straße erreichten wir schließlich die Elli-Voigt-Straße und damit unser nächstes Ziel. Hier befindet sich die Grundschule am Roederplatz.





Vor dem Gebäude steht diese Gedenktafel.









Sie gibt Aufschluss über die Laubenkolonie, die heute nicht mehr existiert und wie sie mit großen Wohnsilos überbaut wurde. Auch die beteiligten Personen werden kurz vorgestellt.

Wie schon erwähnt, wendete sich Hans Rosenthal an Ida Jauch, die ihn schon kannte. Nachdem er kurz seine Situation geschildert hatte und um Aufnahme bat, war Ida Jauch sofort bereit, ihn bei sich zu verstecken. Hans Rosenthal war tief bewegt von der Selbstverständlichkeit der Reaktion der alten Dame und dem vielleicht durch Trotz erklärbaren Mut, ein solches – für sie auch tödliches – Risiko der Entdeckung einzugehen. Der ehemalige Hühnerstall, ein Raum von etwa vier Quadratmetern mit einer alten Matratze und einem Fenster grad so groß wie ein Buch war nun sein Aufenthalt. Wenn alle Gardinen zugezogen waren, konnte er sich tagsüber auch in den anderen Räumen aufhalten. Aber bei Dunkelheit durfte er sein Zimmer nicht beleuchten, weil das den Verdacht der Nachbarn erregt haben könnte. Ab und zu erhielt er Besuch von seiner Großmutter, die dann auch ein paar Kartoffeln oder ein Stück Brot mitbrachte. Das wurde auch dringend benötigt, denn Frau Jauch teilte ihre Lebensmittelmarken mit ihm und die waren schon für eine Person zu wenig. Das Schlimmste für ihn war aber – und er beschreibt es selbst nach vielen Jahren noch als sehr belastend – dass es im Haus keine Toilette gab. Hinaus konnte er tagsüber nicht. Also war er darauf angewiesen ein Nachtgeschirr zu benutzen, das Frau Jauch dann jeweils hinausbringen und den Inhalt entsorgen musste. Er schämte sich zutiefst dafür auch wenn ihm seine Beschützerin mit fröhlichen Worten klarmachte, dass das alles doch ganz natürlich und für sie selbstverständlich sei.

Die Tage zogen sich hin. Die Nächte aber waren für ihn eine Gelegenheit, ins Freie zu treten. Vor allem, wenn es Fliegeralarm gab und die Menschen in die Bunkeranlagen flohen, konnte er tief durchatmen. Das dunkle Brummen der Flugzeugmotoren waren für ihn ein gutes und Freiheit versprechendes Geräusch.

Eines Tages beschlossen sie, eine Nachbarin ins Vertrauen zu ziehen. Emma Harndt und ihr Mann waren ehemalige (weil verbotene) Kommunisten. Sie trug einst die Rote Fahne aus und er war trotz aller Vorbehalte zur Wehrmacht eingezogen worden. Durch Frau Harndt erhielt Hans Rosenthal nun regelmäßig die Berliner Morgenpost zu lesen. Das war für den an allen Informationen über den Kriegsverlauf Interessierten eine wichtige Bereicherung seiner Tage. Auch konnten die Lebensmittelmarken nun etwas großzügiger geteilt werden, weil Frau Harndt ihren Beitrag zu seiner Ernährung beisteuerte. Aber vor allem gelangte er durch sie in den Besitz eines Detektorapparates, mit dem er nun leise mit Hilfe zweier Kopfhörer Radio hören konnte. In dieser Zeit formte sich sein Wille, später beruflich für das Radio und für Nachrichten – aber für wahre Nachrichten – arbeiten zu wollen. Denn den schon für alle Welt völlig unglaubwürdigen Durchhalteparolen der Nazis wollte er künftig etwas entgegenhalten.

Allerdings blieb die Laubenkolonie vom Krieg nicht verschont. Eines Nachts schlug in der Nachbarlaube eine Brandbombe ein und drohte auch seinen Unterschlupf mitzuverbrennen. Er musste hinaus und beim Löschen helfen. In der Aufregung nahm ihn niemand als Fremden wahr. Allerdings trug er eine schlimme Brandverletzung davon. Die Wunde entzündete sich stark und so musste er das Risiko eingehen und sich ärztliche Hilfe in einem etwa zwei Kilometer entfernten SS-Krankenhaus holen. Unter Angabe des Namens eines früheren Klassenkameraden wurde ihm geholfen, ohne dass jemand Verdacht schöpfte.

Aber es kam noch schlimmer: etwa ein Jahr später schlug eine Bombe direkt vor der Tür in den Garten ein. Die Druckwelle beschädigte die umliegenden Lauben sehr stark. Aber wie durch ein Wunder waren zwar die Fensterscheiben kaputt gegangen aber die Laube selbst war heile geblieben. Vermutlich lag es daran, dass der Trichter des Einschlags zu steil war und so die Druckwelle an der Hütte vorbeigeführt wurde. Aber für die Reparaturen brauchte es nun Material, das nur mit Bezugsscheinen erworben werden konnte. So mussten zwei Männer von der NSDAP Zutritt zur Laube bekommen, um den Schaden zu begutachten. Als sie auch in das Versteck kommen mussten, lag Hans Rosenthal unter seiner Matratze, die auf kleinen Holzfüßen gelagert war. Prompt setzte sich einer der Männer auf dieses Bett und nahm Hans Rosenthal die Luft zum Atmen. Zudem reizte der Staub zum Husten und solange die Luft anzuhalten, ließ ihn fast die Besinnung verlieren. Aber alles ging gut.

Im Spätsommer des Jahres 1944 schlug das Schicksal mit aller Macht zu: Frau Jauch erkrankte schwer und wenige Tage später starb sie im Krankenhaus. Wo sollte Hans nun hin? Zu Frau Harndt konnte er nicht. Inzwischen war deren Mann als Invalide aus dem Krieg nach Hause gekommen. Er hatte ein Bein verloren. Als letzten Ausweg versuchte er es bei einer weiteren Nachbarin: Maria Schönebeck war ihm schon zweimal in der Laube begegnet. Frau Jauch hatte ihn als ihren Neffen vorgestellt. Er vertraute sich ihr an, wissend dass sie selbst gegen die Nazis eingestellt war, wohl aber einen Sohn hatte, der als Funker bei der Marine seinen Dienst leistete. Auch in ihr hatte er sich nicht getäuscht. Mit sicheren Worten stimmte sie zu und nahm ihn auf. Zwar gab es hier in dieser Laube keinen separaten Raum. So musste er sich tagsüber im Schlafzimmer verstecken und konnte nachts auf einer kleinen Couch im Wohnzimmer schlafen.

Eines Tages kam der Sohn von Frau Schönebeck auf Fronturlaub zu Besuch. Er fragte, wer der fremde Mann sei. Auch ihm wurde die Wahrheit gesagt. Allerdings reagierte er schroff und verlangte, dass Hans Rosenthal das Haus sofort verlassen sollte. Wieder war es das mutige Einschreiten seiner neuen Beschützerin, das die Situation klärte. Mit deutlichen Worten verlangte die Mutter von ihrem Sohn, dass er schweigen solle. Wenn nicht, würde er sie und auch sich selbst in Gefahr bringen. Der Sohn versprach es. Nur kurze Zeit später erhielten sie die Nachricht, dass das U-Boot, auf dem der Sohn diente, in der Baltischen See gesunken war und niemand an Bord gerettet werden konnte.

Im Laufe der Zeit hatte er weitere Nachbarn kennengelernt. Ein älteres Ehepaar mit Namen Nemnich sorgte einmal für Bauholz. Aus diesem Holz baute Hans Rosenthal eine Art Bunker. Kein Bau im Sinne von Beton. Eher einen Unterstand, der tief ins Erdreich eingelassen war. So konnte man natürlich keinem direkten Treffer entgehen. Aber die Druckwellen von Einschlägen in der Nähe konnte man so überleben, auch wenn die Hütte es nicht überstehen würde. Der Bunker war schließlich so groß, dass aus der Nachbarschaft bis zu zehn Leute bei ihm und Frau Schönebeck Unterschlupf fanden. Und die Leute waren sehr dankbar dafür und schwiegen über seine wahre Identität.

Schließlich erlebte Hans Rosenthal auch das Kriegsende in der Laubenkolonie. Begeistert lief er den russischen Panzern entgegen. Damit keine Missverständnisse aufkamen, heftete er sich den Gelben Stern an seine Jacke, um als Verfolgter erkennbar zu sein. Aber genau das wäre ihm fast zum Verhängnis geworden. Als die Besatzung eines Panzers und andere russische Soldaten ihn sahen, legten sie ihrer Gewehre auf ihn an, drückten ihn an eine Wand und dort stand er nun mit erhobenen Händen. Zum Glück kam ein Offizier vorbei, der selbst Jude war und fragte ihn auf Jiddisch, ob er auch Jude sei. Zum Beweis verlangte der Offizier, dass Hans Rosenthal das jüdische Glaubensbekenntnis auf Hebräisch aufsagen sollte. Obwohl seine Familie nicht streng gläubig war, gelang ihm das "Schma Jisrael" auf Anhieb. Der Offizier bestätigte, dass er Jude sei, gab ihm die Hand und forderte ihn auf, den Stern abzulegen. Er gab auch eine Erklärung dazu: seine Einheit hatte das Konzentrationslager Majdanek befreit. Dort waren sie in einen Hinterhalt der SS-Wachmannschaft geraten. Diese hatten den Gefangenen die Jacken mit dem Gelben Stern abgenommen. Daher hatten die russischen Soldaten nun strikten Befehl, jeden Mann, der sich so gekleidet nähern würde, zu erschießen. Hans Rosenthal verzeichnete das für sich als eine weitere, nunmehr siebte Rettung.

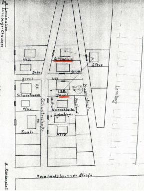
Eine kleine technische Anmerkung noch: heute kann nicht mehr ganz einwandfrei festgestellt werden, wo die Laubenkolonie einst genau lag. Die Gegend wurde massiv umgestaltet und mit vielen Hochhäusern bebaut. Die Straßenzüge wurden angepasst und die Straßennamen innerhalb der Laubenkolonie – die offizielle Anschrift, die Hans Rosenthal noch fast zwei Jahre weiter nutzte, lautete "Kolonie Dreieinigkeit, Schusterstraße 11, bei Schönebeck" – waren je in einem Stadtplan verzeichnet. Eine etwas nördlich gelegene Grundschule, die später den Namen Hans Rosenthals trug, behauptet von sich, dass die Laube in ihrem Schulgarten gelegen habe. Aber wie alte Stadtpläne ausdrücklich zeigen, kann dies nicht stimmen, weil die Kolonie viel weiter nordöstlich gelegen haben muss. Die Suche im Internet hat einige Zeit in Anspruch genommen.

Hier aus dem Jahr 1938:



Und hier im Jahr 1945:



Im Jahr 1947 wird es noch deutlicher:



Eine von Hans Rosenthal selbst angefertigte Skizze klärt weiter auf:



Ausschlaggebend ist der Verlauf der Reinhardsbrunner Straße.

Für uns hieß es nun, die nächste Etappe in Angriff zu nehmen. So legten wir hier ab und fuhren die Vulkanstraße nach Süden bis zur Frankfurter Allee, der wir ein gehöriges Stück als B1 in Richtung Osten folgten.











Bei Herzfelde verließen wir die B1 und drehten nach Süden ab. Weil es bis zum nächsten Ziel nicht mehr weit war und dort eine Pinkelpause nicht möglich gewesen wäre, legten wir selbige vorab ein.





Anschließend fuhren wir am Mellensee entlang über Alt Buchhorst, Grünheide (Mark) und Hangelsberg nach Fürstenwalde/Spree, das wir nördlich umrundeten.





Außerhalb der Stadt in Richtung Buchholz drehten wir auf einen sandigen Untergrund ab.





Hier lag das ehemalige "Landwerk Neuendorf im Sande".



Dieser Gutshof befand sich seit dem Jahr 1932 im Besitz des Trägervereins "Jüdische Arbeitshilfe e. V.", der im Rahmen der Initiative der "Hachschara" (hebräisch für "Tauglichmachung" oder "Vorbereitung") des Zionistischen Bundes europaweit vor allem junge Leute ausbilden wollte und sie ertüchtigen und auf die Auswanderung nach Palästina vorbereiten wollte, um dort das Land zu besiedeln und urbar zu machen. Der Name "Zion" (hebräisch für "trocken") geht auf einen der Hügel um Jerusalem zurück und der Zionismus war eine Bewegung, die für die Rückkehr der Juden weltweit nach Israel warb. Weil das Land noch unter britischer Mandatsverwaltung stand, war man an deren Auflagen gebunden, dass eine Einreiseerlaubnis nur den Menschen erteilt wurde, die eben über die notwendigen Fertigkeiten (Handwerk, Landwirtschaft, Kaufleute, etc.) verfügten. Daher die Initiative für diese Vorbereitung.

Gleich nach der Machtergreifung Hitlers wurde das Gut im Jahr 1933 enteignet. Kurz darauf wandelte sich der Gutshof von einem Ausbildungs- zu einem Zwangsarbeitslager.

Wir fuhren in den Gutshof ein, der heute eine kleine, abgeschiedene Wohnsiedlung ist.



Überall waren Fotos ausgestellt, die das Leben während der Hachschara darstellten. Die Bilder mit den Gedenkstelen wurden vom "The Museum of the Jewish People" in Tel Aviv installiert. Bedrückend ist, dass viele der abgebildeten Menschen eben doch statt nach Israel auszuwandern, in den Gaskammern des Dritten Reichs gelandet sind.















Hans Rosenthal war zunächst in einem anderen Hachschara-Lager untergebracht. In einer alten Mühle in Jessen bei Sommerfeld im heutigen polnischen Teil der Niederlausitz. Er erlernte dort die Aufzucht und Pflege von Tomaten, das Stechen von Spargel und die mühsamste Arbeit, das Rübenziehen. Es ging noch recht fei und lustig dort zu. Theaterspiele und Singen gehörten zu seinen Aktivitäten in der Freizeit. Als das Lager aufgelöst wurde, kamen alle Teilnehmer hier her. Alle wurden sofort als Zwangsarbeiter geführt und nicht nur im Landwirtschaftsbetrieb eingesetzt, sondern vom zuständigen Arbeitsamt auch für andere Tätigkeiten in die Stadt Fürstenwalde vermittelt. Hans Rosenthal führte dies zu einem besonderen Ort, den wir nun besuchen wollten. Also schwangen wir uns wieder auf unsere Metallrösser.



Am Ausgang des Geländes passierten wir das Denkmal für Jutta Baumwol, einer Hachschara-Teilnehmerin, die ebenfalls ermordet wurde.









Es ging jetzt zurück nach Fürstenwalde, wo wir die ganze Stadt kreuzten und über die Spree fuhren.









Schließlich erreichten wir diesen Ort,



den städtischen Friedhof von Fürstenwalde.

















Hans Rosenthal war hier als Friedhofsgärtner und Totengräber eingesetzt. Zu seiner Zeit war der Friedhof neu eröffnet worden. Und ihm und 15 weiteren Jungs aus dem Lager oblag es, die neu angelegten Wege zu schottern. Wer schon einmal im Garten eine kleine Fläche gleichmäßig mit Schotter eingedeckt hat, kann nachvollziehen, wie mühsam diese Arbeit gewesen muss. Vom ersten Überzug mit Ziegelsplitt, der mit einer Walze verfestigt werden musste, über die Schotterung, die ebenfalls mit von Hand gezogenen Walzen geglättet wurde und schließlich eine letzte Zementschicht, die auch mit der Walze bearbeitet werden musste. Der Obergärtner und Ober-Totengräber suchte sich dann Hans Rosenthal aus, ihn zu begleiten. Er musste nun helfen, Gräber auszuheben. Diese Tätigkeit war zwar anstrengend. Aber zum Ausgleich dafür war das Essen sehr gut und er erfuhr auch eine freundliche Behandlung.

Einer der Aufträge blieb Hans Rosenthal besonders im Gedächtnis: als einmal zwei SS-Leute gleichzeitig bei einem Autounfall starben, mussten gleich zwei Gräber ausgehoben werden. Nicht nur, dass er eingestand, die Gräber freiwillig 20 Zentimeter tiefer als üblich ausgehoben zu haben, nach dem Motto "sicher ist sicher, man weiß ja nie" befand er über sich selbst, dass er wohl "… der einzige Jude im Deutschen Reich wäre, der SS-Leute unter die Erde bringen dürfe".

Das war der Schlusspunkt auf der Fährte von Hans Rosenthal. Wir wollten uns nun die heutige Futterluke suchen und fuhren über Rauen und vorbei an den Rauen'schen Bergen, weiter durch Kolpin nach Storkow (Mark), wo wir zum Essen einkehrten.







Das Essen kam zügig auf den Tisch und es war lecker, wenn auch einen Fisch mit Steakmesser zu essen, schon etwas komisch war.







Satt und zufrieden traten wir den Spurt zur Tankstelle an. Wir passierten dabei die Kurmark-Kaserne und den "Technologie-Stützpunkt Tarnen und Täuschen" (kein Joke) und fuhren weiter über Kehrigk, Märkisch Buchholz und Halbe und wurden kurz vor Teupitz fündig.













Der nächste Abschnitt war jetzt etwas mühsam, weil uns die Nachmittagssonne direkt ins Gesicht schien. Da war der Blick auf die Straße nicht immer ganz leicht. Es ging über Teupitz, Töpchin, Wünsdorf, Kummersdorf-Alexanderdorf und Trebbin auf bekannte Pfade über Löwendorf, Ahrensdorf und Hennickendorf und wir kamen schließlich nach Dobbrikow mit seiner bekannten Scheune.











Hier ließen wir den Tag ausklingen und als wir uns auf den Heimweg machten, lag das Lokal auch sehr einsam da.







Das heutige Fazit: bei zwar kühlem aber trockenem und sonnigem Wetter haben wir eine herrliche Saison-Abschlusstour machen können, die diesmal ein wirklich besonderes Thema zum Inhalt hatte. Und ich möchte auch noch zwei persönliche Anmerkungen loswerden, was mich mit Hans Rosenthal verbindet:

Zunächst einmal war er mir, wie jedem anderen zu dieser Zeit aktiven Zuschauer auch, von der Mattscheibe vertraut. Einmal war ich ihm aber persönlich begegnet. Und das war ausgerechnet ein echtes Martyrium meiner Kindheit! In den 70er Jahren gab es zu Beginn der Großen Ferien häufig Veranstaltungen für die Berliner Schulkinder (genauer: West-Berliner). Mitunter fanden diese Veranstaltungen in der Deutschlandhalle statt oder auch unter freiem Himmel an der Straße des 17. Juni. So auch in diesem Jahr. Ich war vielleicht acht oder neun Jahre alt und stand direkt an einer Absperrung vor einer aufgebauten Bühne, auf der Hans Rosenthal ein Ratespiel moderierte, für das er sich immer wieder Kinder aus dem Publikum auf die Bühne holte. Und ich leiste jeden Schwur: einmal hat er mir fest in die Augen geblickt, zeigte auf mich und sagt von der Bühne herab: "Dann komm doch jetzt Du einmal zu mir!". Ich konnte mein Glück kaum glauben. Aber noch viel weniger konnte ich glauben, dass neben mir ein kleines dickes Mädchen in einem kleinen und viel zu engen weißen Kleidchen losspurtete und entlang der Absperrung zur Treppe auf die Bühne lief. Ich hatte das Nachsehen und Hans Rosenthal guckte nur verwundert.

Und die andere Story ist die von seinem Sohn Gert (den er nach seinem verlorenen Bruder so genannt hat). Gert Rosenthal ist als Rechtsanwalt und Notar tätig. Anfang der 2000er Jahre war ich zwei Mal bei ihm wegen eines Kaufs und Verkaufs einer Immobilie. Bei so einem Kaufvertrag ist es die Pflicht des Notars, den Kaufvertrag – der gerne an die 20 Seiten umfassen kann – von A bis Z vorzulesen. Er war damals in dem Alter, wie sein Vater, als der seine größten Erfolge feiern konnte. Und nicht nur, dass er seinem Vater sehr ähnlich sah, klang seine Stimme auch original nach der seines Vaters. Wenn man da so in dem Büro saß und kurz die Augen schloss, hörte man wahrhaft Hänschen vor sich hin plaudern. Es war ein tolles Erlebnis. Und einmal angesprochen auf die große Ähnlichkeit (und man merkte, dass er diese Fragen gewohnt war und sie mit professioneller Ruhe beantwortete), sagte er mir, dass sein Vater ihm einmal gesagt habe, dass es wohl zu spät sei und er ihn als seinen Sohn kaum mehr verleugnen könne.

Das war's. Bis zum nächsten Mal! Ab November stehen ja wieder unsere Winterstammtische an! Man sieht sich!

Gruß Ron